Gendarmes and investigators work on March 26, 2015 in the scattered debris on the crash site of the Germanwings Airbus A320. AFP Berlin:...
Gendarmes and investigators work on March 26, 2015 in the scattered debris on the crash site of the Germanwings Airbus A320. AFP Berlin:...
Rio de Janeiro: Rio's mayor warned that an extension of the city's metro system crucial to moving huge crowds around during the Olympics...
Representative image Mexico City: A woman with a confirmed case of the Zika virus in the southern state of Chiapas gave birth to...
Uganda's top opposition leader Kizza Besigye. AFP, Isaac Kasamani Kampala: Uganda's top opposition leader Kizza Besigye said poll results Saturday handing President Yoweri...
(FILES) This file photo taken on February 10, 2016 shows mosqitos of the kind "Aedes aegypti" at the IAEA Laboratories in Seibersdorf near...
(FILES) This file photo taken on February 16, 2016 shows Uganda's President Yoweri Museveni (C) and his wife Janet Museveni waving from to...
British Prime Minister David Cameron delivers a statement on his EU deal outside of No. 10 Downing Street, in London, Britain, 20 February...
Moscow: Russia has sent several fighter planes including fourth-generation jets and a transport helicopter to reinforce its air base in Armenia near the...
A woman walks past a Ugandan soldier and election posters after the military were called in to handle protests in Kampala on February...
Zimbabwe's President Robert Mugabe talks to his wife Grace before addressing the ZANU-PF party's top decision making body, the Politburo, in the capital...
Uganda's President Yoweri Museveni (R) casts his ballot as he votes in parliamentary and presidential elections at a polling station in Nshwere, on...
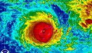
A handout picture provided by the National Oceanic and Atmospheric Administration (NOAA) shows Cyclone Winston over Fiji, 20 February 2016. EPA/NOAA/HANDOUT By Peter...
JOHANNESBURG: South Africa confirmed its first case of the mosquito-borne Zika virus in a Columbian man, health authorities said. The virus, which is...
The forecast track for tropical cyclone Winston. Fiji Meteorological Service Suva, Fiji: Fiji warned residents to brace for an onslaught Saturday as a...
Protesters against the Nauru detention centre hang from a bridge above a freeway in Melbourne, Australia, February 11, 2016. Reuters/Tracey Nearmy/AAP Sydney: Australia...
US Democratic presidential candidate Bernie Sanders sings on stage with performers at a campaign rally in Henderson, Nevada February 19, 2016. Reuters/Jim Young ...
This file photo taken on November 05, 2007 shows US President George W. Bush presenting the 2007 Presidential Medal of Freedom to "To...
British Prime Minister David Cameron (R) attends a bilateral meeting with European Council President Donald Tusk (L) and European Commission President Jean-Claude Juncker...